Please enter a valid location
With a wet start to spring across much of the Midwest, we could be in for a growing season heavy with crop disease. Most yield-limiting corn and soybean diseases thrive in wet weather, so it’s important to scout for symptoms regularly and protect your yield potential with a timely fungicide application this year.
When it comes to scouting for crop diseases, there are some general guidelines to follow for success:
While the guidelines listed above are for disease scouting in general, there are some diseases that experts say could be particularly problematic in the Midwest this season. In this video, Corteva Agriscience market development specialist Jason Gibson walks through two diseases (one corn and one soybean) to watch for this season and how to control them.
Below are more corn and soybean diseases to watch for this summer and their signs and symptoms.
Symptoms: Black ovular or circular lesions on corn leaves that spread from the lower leaves to the upper leaves, leaf sheathes and eventually husks of developing corn ears.
Symptoms: Long, thin, rectangular lesions, up to 2 inches in length, that appear on leaves. The lesions start out tan and usually turn gray.
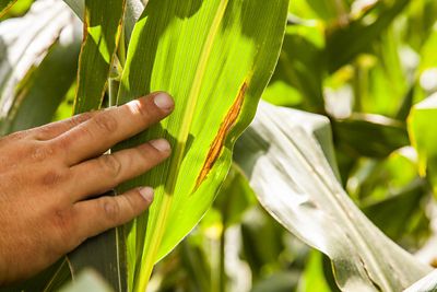
Symptoms: Elliptical, gray to tan lesions that develop on leaves. Lesions can be anywhere from 1 to 6 inches long. Symptoms tend to start on lower leaves. Under high humidity, spores coating the lesions turn olive-green or black, giving leaves a dark or dirty appearance.
Symptoms: Lesions that begin as flecks on leaves and develop into small tan spots. Spots turn into elongated brick-red to cinnamon-brown pustules with a jagged appearance. Symptoms of common rust are found on both upper and lower leaf surfaces (unlike southern rust, where symptoms only appear on upper leaf surfaces).
Symptoms: Round or pinhead-shaped pustules that develop on upper leaf surfaces. The pustules are orange or reddish-orange in color.
Symptoms: Infection signs are not immediately visible. The obvious signs may be apparent within three to four weeks of infection but generally go unnoticed for another week or more. Check stems of potentially infected plants to diagnose white mold. The first signs are gray to white lesions at nodes. Lesions rapidly spread above and below infected nodes and often are covered in fluffy, white growths.
Symptoms: The most common initial signs are small yellow spots on leaves. The spots enlarge to a diameter of about 1/4 inch. Lesion centers become gray to brown and have reddish-purple margins. Check tops and undersides of leaves for tan-brown elliptical lesions with brown to purple borders. Under humid conditions, inspection with a magnifying glass/hand lens may reveal long, silver, spore-bearing hyphae extending from black dots on the undersides of leaves.
Unlike other soybean diseases, frogeye leaf spot produces infection on younger upper foliage rather than older foliage at the base of plants. Diseased plants tend to have a layered appearance because infection is more severe on younger leaves.
Photo from Eric Alinger, Pioneer Field Agronomist
Symptoms: Sun-exposed leaves on the upper part of the plant that develop a bronze to reddish-purple discoloration. Discoloration results from numerous irregular-shaped lesions that range from small specks to 1/2-inch spots and may extend to the upper stems, petioles and pods.
One of the best ways to keep diseases from robbing your yield potential is to keep those diseases from developing in the first place. Applying a timely, preventive fungicide is a great step toward doing just that.
Aproach® and Aproach® Prima fungicides are two powerful choices to combat corn and soybean diseases. Both solutions are labeled for all the diseases listed above, with one exception: Aproach is labeled for control of white mold, while Aproach Prima is not. The following graphics show application guidelines for Aproach and Aproach Prima for corn and soybeans.


To find suggested use rates for Aproach and Aproach Prima, you can download the Disease ID Guide from Corteva Agriscience. The guide also contains more detailed information about the diseases listed in this article and more diseases to watch for as you scout your fields this summer.
Aproach® and Aproach® Prima are not registered for sale or use in all states. Contact your state pesticide regulatory agency to determine if a product is registered for sale or use in your state. Always read and follow label directions.
Find expert insights on agronomics, crop protection, farm operations and more.